Ureditev meje Idrija |
Če iščete zanesljivega, izkušenega geodeta za kvalitetne in ugodne geodetske storitve Idriji, Goriška pa je območje, kjer ga potrebujete, se obrnite na nas.
V podjetju PARS d.o.o. Podjetje za geodezijo in prostorsko informatiko Idrija že vrsto let zanesljivo, ugodno, hitro in kvalitetno, po vsej Idriji in po potrebi širše, izvajamo geodetske storitve, kot so:
- ureditev meje,
- brezkontaktni daljinski zajem in obdelava,
- evidentiranje nepremičnin,
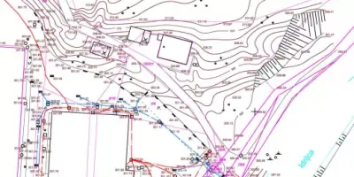
- geodetski načri, karte,
- inženirska geodezija,
- termografija
- panoramski leti in fotografiranje.

Pomembno nam je, da se zadovoljne stranke vračajo, če potrebujejo ureditev meja in preostale naše geodetske storitve na območju Idrije. Zato vedno poskrbimo, da geodetska dela izvedemo v dogovorjenem času in kvalitetno.
Pri tem nam pomaga tudi sodobna geodetska oprema, seveda pa se na področju tudi nenehno izobražujemo, da lahko zanesljivo pomagamo, ko potrebujete ureditev meja.
Za vse dodatne informacije, naročila storitev in sodelovanje pri ureditvi meja in nudenju preostalih storitev, nas pokličite!
Povpraševanja
Ocene 0